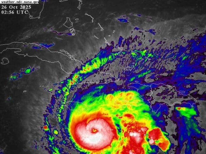
Desde el domingo 26 de octubre, el huracán Melissa se intensificó, por lo que alcanzó la categoría 5, el nivel más alto en la escala Saffir-Simpson, según informó el Centro Nacional de Huracanes (NHC) de Estados Unidos.
En medio de las emergencias en Jamaica, el organismo advirtió sobre “inundaciones catastróficas” , incluso antes de que el fenómeno toque tierra, lo que llevó a las autoridades a declarar alerta máxima en toda la isla.
De acuerdo con el reporte del NHC, “los vientos destructivos, las marejadas ciclónicas y las inundaciones catastróficas empeorarán en Jamaica a lo largo del día y durante la noche”, mientras el país se prepara para el impacto directo del huracán.
La información indicó que el huracán Melissa se desplaza lentamente a siete kilómetros por hora, una velocidad que preocupa a los meteorólogos, ya que su lenta trayectoria podría provocar lluvias torrenciales prolongadas sobre las regiones afectadas.
Los especialistas pronostican hasta un metro de lluvia en zonas de Jamaica, Haití y República Dominicana, lo que incrementa el riesgo de deslizamientos de tierra y crecidas de ríos. En estos dos últimos países, las fuertes lluvias ya han dejado cuatro personas muertas durante la semana.
En República Dominicana, las autoridades desplegaron drones con alimentos para asistir a familias incomunicadas por las inundaciones. Imágenes captadas por estos dispositivos muestran extensas áreas anegadas y comunidades aisladas por el desbordamiento de los ríos. Equipos de rescate empacaban este domingo suministros básicos con el fin de acelerar las entregas a las zonas más afectadas.
El Centro de Operaciones de Emergencias (COE) confirmó la muerte de un hombre de 79 años, arrastrado por la corriente de un arroyo, mientras continúa la búsqueda de un adolescente de 13 años desaparecido.
Según el más reciente boletín del NHC, emitido a las 21:00 GMT del domingo, el centro del huracán Melissa se encontraba a unos 185 kilómetros de Kingston, Jamaica, y a 474 kilómetros de la bahía de Guantánamo, Cuba. Las autoridades advirtieron que el fenómeno podría tocar tierra en Jamaica entre la noche del lunes y la mañana del martes, antes de avanzar hacia el sureste de Cuba.
“Busquen refugio ahora”, instó el NHC a los habitantes de Jamaica, al tiempo que reiteró el llamado a mantenerse informados y seguir las indicaciones de los organismos de emergencia. Por su parte, el primer ministro jamaicano, Andrew Holness, pidió a los pescadores “permanecer en puerto seguro” y evitar toda actividad marítima ante el peligro inminente.
El gobierno jamaicano activó todos los protocolos de emergencia y habilitó refugios en diferentes parroquias para resguardar a las familias en riesgo, mientras la región caribeña se prepara para enfrentar el impacto del huracán más poderoso de la actual temporada.








